• Eichenblättr.Hortensie 'Munchkin'
Helle Blüten Hortensie 'Munchkin'

Tipps & Tricks

Beschreibung

Das kompakte Eichenblatthortensien-Wunder!
Kleine Größe trifft auf großartige Blätter & Blüten!
Die Krönung ist ihr kontrastreicher Farbverlauf, ihre starke Robustheit und ihre Insektenfreundlichkeit.

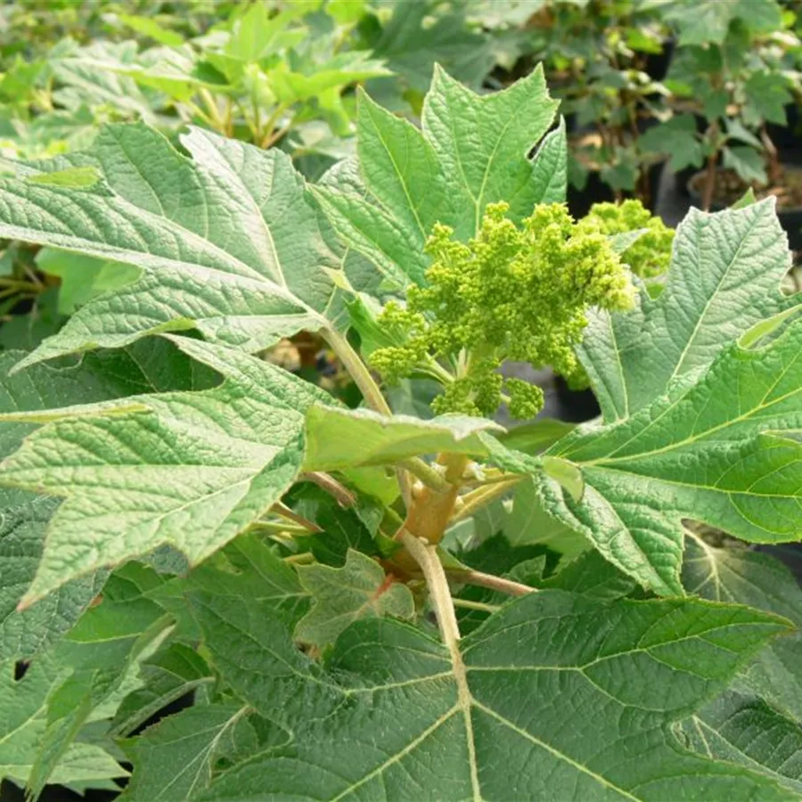
Blüte

Die Eichenblatthortensie 'Munchkin' hat cremeweiße, aufrechte und bis zu 15 cm lange Rispen. Zum Herbst hin nimmt die Blüte leichte rosa-rote Färbung an. Blütezeit von Juli bis Oktober.

Blatt

Die Blätter sind nicht nur durch ihre Größe, sondern auch durch ihre Form und ihren Farbwechsel interessant. Gelappt und breit gezähnt, können die Blätter bis zu 10-20 cm in die Länge und Breite schaffen. Dekorative Herbstfärbung verzaubert mit traumhaftem Farbspiel von scharlachrot bis purpurrot über weinrot mit orangegelber Tönung.

Wuchs

Hat einen buschigen, kompakten und gleichmäßigen Wuchs. Erreicht gewöhnlich eine Höhe und Breite von 1,2 m.
Habitus Kleinstrauch

Standort

Gedeiht optimal im normalen, gut durchlässigen Gartenboden (pH-Wert von 6 bis 7) mit einen hohen Humusanteil in halbschattiger bis sonniger Lage.

Rückschnitt

Ein starker Schnitt kann nach Bedarf zu Größenregulierung auch im Frühjahr durchgeführt werden, jedoch ist in demselben Jahr mit nur wenig oder keiner Blütenbildung zu rechnen. Ansonsten werden im Frühjahr nur alte abgetrocknete Blüten aus dem Vorjahr (nicht vor April) entfernt.

Verwendung


• Im Bauern- und Japangarten
• Als Solitärpflanze
• Zur Gruppenbepflanzung
• Als freiwachsende niedrige Hecke
• Am Teichrand

Düngung/Pflege

Im Frühjahr soll sie ausreichend mit Oscorna Animalin und Hornspäne versorgt werden. Die Erde nicht austrocknen lassen. Zur optimalen Versorgung empfehlen wir Oscorna Bodenaktivator, der den pH-Wert optimiert, fördert das biologische Gleichgewicht, hält den Boden feucht und schützt somit vor Austrocknung.

Besonderheiten


• Das ursprüngliche Verbreitungsgebiet der Hydrangea quercifolia liegt im Südosten der Vereinigten Staaten. Den Namen „Eichenblatthortensie“ verdankt die Pflanze der amerikanischen Eiche (Quercus rubra), die auch eine gelappte Blattform aufweist.
• Die Farben sowie die Farbintensität der Herbstfärbung sind von der Sonneneinstrahlung, dem Standort, dem Boden als auch dem Klima abhängig. Je mehr Sonne, desto intensiver die Ausfärbung.
• Ihre luftigen und offen Blüten ziehen Insekten an.
• Die Blattunterseite ist grüngrau bis silbergrau behaart. Dies bietet einen starken Kontrast zu den grünen bis dunkelgrünen Blattoberseiten im Sommer und noch mehr im Herbst zu den dunkelroten Oberflächen.
• Durch die schöne und stabile Blattform, lange Blattstiele und gute Haltbarkeit im Wasser, werden die Blätter gerne für Blumensträuße und Gestecke verwendet.

Diese Artikel könnten Sie auch interessieren!